Appartamento in vendita Via G. Matteotti 48, Canonica d'Adda
60mq
5locali

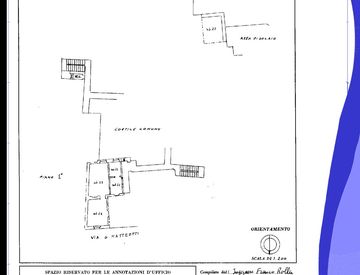
Piena proprietà di appartamento ad uso abitazione in VAPRIO D’ADDA (MI), Via Giacomo Matteotti n. 48, posto al piano primo composto da due locali e servizio igienico con annessa porzione indivisa di sottotetto ad uso ripostiglio e con diritto alla proporzionale quota di comproprietà sulle parti comuni del fabbricato.
.
Il prezzo indicato si riferisce all’offerta minima.
Contattandoci è possibile ricevere tutte le informazioni utili per partecipare alla gara d’asta, comprese foto, documentazione e condizioni dell’immobile, oltre al supporto necessario durante l’intera procedura.
Per la partecipazione all’asta è richiesto un deposito pari al 10% dell’offerta minima.
È inoltre possibile valutare l’acquisto dell’immobile anche tramite mutuo fino al 100%, previa verifica dei requisiti.
AsteGlobal è una società di professionisti specializzati in aste giudiziarie e consulenza immobiliare.
Affianchiamo il cliente in ogni fase, offrendo un servizio chiaro e personalizzato, dalla prima analisi fino all’aggiudicazione dell’immobile.
Se sei proprietario di un immobile già all’asta o prossimo a un provvedimento di pignoramento, in alcuni casi esistono soluzioni per la gestione o la cancellazione dei debiti.
Contattaci per una consulenza riservata....
Aggiornato il 28 Febbraio 2026Scrivi qui le tue note private sull'annuncio
Caratteristiche immobile
- Stato al Rogito:occupato
- Bagni:2
- Locali:5
- Metri quadri:60
- Condizioni:abitabile
- Asta:sì